Back to Index Page

Radiolitidae D'ORBIGNY 1847

genera assigned to the family (link to taxonomic database)

Durania cornupastoris (Des Moulins, 1826); Turonian, Western Desert, Egypt

Eoradiolites liratus (Conrad, 1852), note prominent ornamentation of radial bands to the right; Upper Albian, Sinai, Egypt

Eoradiolites plicatus (Conrad, 1852), one of the earliest Radiolitidae; Lower Albian, Sinai, Egypt

Eoradiolites plicatus (Conrad, 1852), note cells in outer shell layer; Albian, Sinai, Egypt

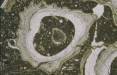
Macgillavryia nicholasi (Whitfield, 1897); Campanian, Saiwan, Oman

Eoradiolites liratus (Conrad, 1852), transverse section across right (lower) valve showing typical structure of outer shell of Radiolitidae; Albian, Sinai, Egypt

Outer shell layer of Radiolitidae in various sections (from Steuber 1999)

Myocardinal arrangement of the Radiolitidae (from Steuber 1999)

Abundance and stratigraphical distribution of Radiolitidae in the central-eastern Mediterranean and Middle East

Favus antei Laviano & Skelton, 1992; note cellular shell wall in both valves; Campanian, Apulia, Italy (from Cestari & Sartorio 1995)

Eoradiolites liratus (Conrad, 1852), left (upper) valve and right (lower) valve; note cardinal teeth and myophores in left valve (from Cestari & Sartorio 1995)

General morphology of a shell of Radiolites (from Skelton 1979a)

 

Antillocaprinidae

Caprinidae

Caprotinidae

Diceratidae

Dictyoptychidae

Hippuritidae

Ichthyosarcolitidae

Plagioptychidae

Polyconitidae

Radiolitidae

Requieniidae

Family uncertain